海況情報
メリークリスマス・イヴ!

本日も北東の風。
昨日同様オープン時は静かだったものの、次第にウネリが入り出し、
お昼時には揺れ揺れの海況に。
ですが、ビーチ・ボート共に終日潜水可能でした!
久しぶりに朝から終日雨。
肌寒い1日でした。
LOG ミツル
ボート 〇 ビーチ 〇
透明度:浅場 15m 透明度:浅場12m
透明度:深場 15m~18m 透明度:深場12m
水温:浅場18℃ 水温:浅場19℃
水温:深場18℃ 水温:深場18℃
本日はビギナー様をボートでご案内
ワイド中心にのんびり泳いできました!
天気の影響で水中は暗かったですが、水はキレーです!
イボヤギ岩まで大移動したツバメウオ達

ハナダイは絶好調

復活したネンブツダイの群れ!
0番再び熱くなってきました~

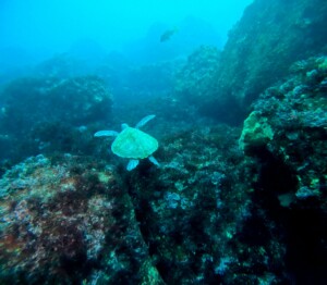
カメにも会えたし、良い潜り納めでしたね!

他、ニシキフウライウオは3匹に。
スミレナガハナダイ、クダゴンベ、ハチジョウタツペア、イサキ群れ、テングダイ、アカホシカクレエビ、等確認出来てます。
明日も北東の風。
終日穏やかでしょう!!
大好評の定置網ダイブ!
12月26日(金)開催予定です!
詳細はお問い合わせ下さい。
お待ちしてます!
見れた生物(ボート)
キンギョハナダイ(オス・メス・yg)、サクラダイ(オス・メス・yg)、スジハナダイ(メス・yg)、ナガハナダイ(オス・メス・yg)、アカオビハナダイ(オス・メス・yg)、コウリンハナダイ(オス・メス・yg)、ミナミハナダイ(オス・メス・yg)、アカボシハナゴイ(オス・メス・yg)、アサヒハナゴイ(メス・yg)、ベニハナダイyg、ルリハタyg、ツキベラyg、ヤマシロベラ、ヤマブキベラ、トカラベラ、カノコベラ、キツネベラ、キツネダイ、オグロベラ、オキナワベニハゼ、ベンケイハゼ、フトスジイレズミハゼ、アカイソハゼ、コバンハゼ、クダゴンベいっぱい、キリンゴンベ、サラサゴンベ、オナガスズメダイ、クマノミ、レンテンヤッコ、トサヤッコ(オス・メス)、ヤイトヤッコ、アオハナテンジクダイ、イサキ群れ、フエダイ群れ、アカスジカクレエビ、イソバナカクレエビ、ハクセンアカホシカクレエビ、テヅルモヅルエビ、トウシマコケギンポ、ニラミギンポ、テングダイいっぱい、カメ、etc…
見れた生物(ビーチ)
チビッ子クマノミ×2、ヨコシマクロダイ、ムスジコショウダイ、コロダイyg、ヌノサラシ、ムレハタタテダイ×10、シマアジ群れ、アオリイカ、アカハチハゼ、カミナリベラ、ベラギンポ、オオウミウマ、ウミウシカクレエビ、カミソリウオetc…
お越しの際はご連絡下さいませ。
お問い合わせ:0557-52-6885